关于公布《振华路涵洞引道工程项目房屋征收补偿方案(征求意见稿)》及征求公众意见的公告
为加快推进振华路涵洞引道工程项目建设,落实市委市政府改善民生实事,实现宋跳工业园区与滨河新城片区快速连接,推进片区城市更新,提升城市形象和城市功能,海州区人民政府拟对振华路涵洞引道工程项目征收红线范围内以连云港市自然资源和规划部门出具的红线为准的房屋及构筑物等实施征收。根据国务院《国有土地上房屋征收与补偿条例》(国务院第590号令)等有关法律法规规定,现将《振华路涵洞引道工程项目房屋征收补偿方案(征求意见稿)》予以公布,并公开征求意见。征求意见时间为自发布本公告之日起至2022年1月1日,在此期间,有关单位和个人可通过以下方式提出意见:
一、发送电子邮件提出意见
登录“连云港市海州区人民政府网站”,(网址:http://www.lyghz.gov.cn/),查看《振华路涵洞引道工程项目房屋征收补偿方案(征求意见稿)》,将意见发送至电子信箱78581208@qq.com。
二、通过信函方式提出意见
来信请寄至:连云港市海州区海连西路28号西楼西单元2楼(邮政编码:222000),并在信封上注明“振华路涵洞引道工程项目房屋征收补偿方案征求意见”字样。
三、通过面见或电话方式反映意见
地址:连云港市海州区海连西路28号西楼西单元2楼。
联系人:戴子馨
联系电话:13655132599
海州区人民政府
2021年12月3日
振华路涵洞引道工程项目
房屋征收补偿方案
(征求意见稿)
为加快推进振华路涵洞引道工程项目建设,落实市委市政府改善民生实事,实现宋跳工业园区与滨河新城片区快速连接,推进片区城市更新,提升城市形象和城市功能,海州区人民政府拟对振华路涵洞引道工程项目征收红线范围内的房屋及构筑物等实施征收。依据国家、省、市房屋征收相关法律法规及政策规定,结合被征收房屋实际情况,制定本方案。
一、政策依据
1.《国有土地上房屋征收与补偿条例》(国务院令第590号);
2.《关于印发<国有土地上房屋征收评估办法>的通知》(建设部建房〔2011〕77号);
3.《省政府关于印发江苏省贯彻实施<国有土地上房屋征收与补偿条例>若干问题规定的通知》(苏政发〔2011〕91号);
4.《市政府关于印发连云港市国有土地上房屋征收与补偿暂行办法的通知》(连政规发〔2011〕4号);
5.《市政府关于印发连云港市市区国有土地上房屋征收补助和奖励暂行办法的通知》(连政规发〔2011〕5号);
6.《市政府关于印发连云港市市区国有土地上房屋征收范围内未经登记建筑调查认定和处理暂行办法的通知》(连政规发〔2011〕14号);
7.《市政府关于印发连云港市国有土地上房屋征收与补偿若干问题规定的通知》(连政发〔2011〕128号);
8.《市政府关于印发连云港市市区国有土地上房屋征收与补偿相关问题补充规定的通知》(连政规发〔2014〕1号);
9.《市政府关于调整市区房屋征收政策的通知》(连政发〔2018〕42号);
10.《连云港市城乡建设局关于印发《连云港市国有土地上房屋征收评估技术导则》的通知》(连建征监〔2021〕349号);
11.《区政府关于调整国有土地上房屋征收相关补偿标准的通知》(海政发〔2018〕41号);
12.《区政府办公室关于印发海州区旧城(棚户区)改造房屋征收相关政策调整方案的通知》(海政办发〔2018〕76号);
13.《连云港市城乡建设局关于调整房屋装饰装修及附属设施补偿协商价格参考标准的通知》(连建征监〔2019〕24号);
14.《区政府办公室关于印发海州区旧城(棚户区)改造房屋征收相关奖励政策调整的补充规定的通知》(海政办发〔2019〕38号);
15.其他相关文件。
二、征收人:海州区人民政府。
三、征收部门:海州区住房和城乡建设局。
四、征收实施单位:海州区新浦街道办事处、海州区房屋征收服务中心。
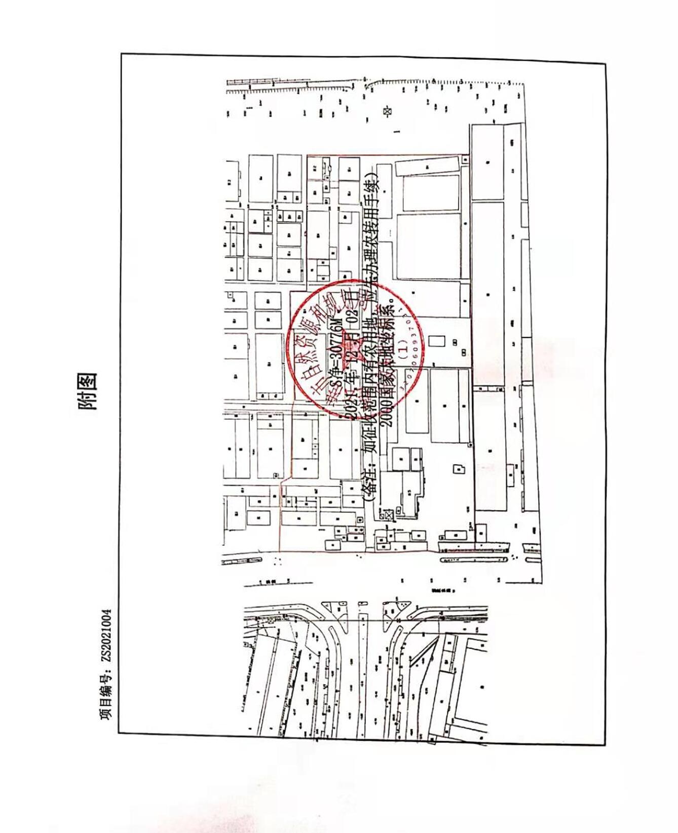
五、征收范围:以连云港市自然资源和规划部门出具的征收红线范围图为准(详见附图)。
六、征收期限:自征收决定公告之日起至房屋征收结束。
七、征收签约期限:被征收房屋评估结果公示期满之日起15日。
八、征收签约奖励期限:被征收房屋评估结果公示期满之日起10日。
九、房地产价格评估机构选定办法
(一)房地产价格评估机构由被征收人在规定期限内从市房屋征收管理部门每年度公布的房地产价格评估机构名录中协商选定,半数以上被征收人选择同一家房地产价格评估机构,视为协商选定成功。
(二)若被征收人在规定时间内协商不成或未选定房地产价格评估机构的,征收人将组织被征收人投票决定或者通过摇号、抽签等方式确定。采用投票方式时,半数以上被征收人选择同一家房地产价格评估机构的,为多数决定;不足半数的,采取摇号、抽签等方式确定。
十、被征收房屋的认定
(一)土地用途与用地面积依据连云港市自然资源和规划部门发放的合法证件或相关有效证明材料载明的土地用途和用地面积进行认定;无连云港市自然资源和规划部门发放的合法证件及相关有效证明材料的,土地符合登记条件因历史原因未进行登记的,由连云港市自然资源和规划部门按程序确权,出具被征收建筑占用土地的登记资料或者国有土地使用权属确认单(以下简称土地确权材料)。
(二)被征收房屋的面积、性质以房屋权属证书载明的面积、性质为准,房屋权属证书未载明的,以产权档案记载的面积、性质为准。单位房改房权属证书载明的房屋面积与实测面积(不含翻建、扩建增加的面积)不一致的,以实测面积为准。
(三)对已依法取得土地使用权和建设工程规划许可证件(含民房建筑执照),并在土地使用权范围内按照建设工程规划许可证件载明内容建设,未办理房屋权属登记的建筑,认定为合法建筑。
(四)国有土地上征收范围内未经登记建筑的认定,在土地确权材料认定范围内,没有建房批准手续,但2003年正射影像图上有记载的被征收房屋,参照有证房屋予以补偿。在土地确权材料认定范围内,2003年正射影像图上无记载的,或者虽在2003年正射影像图上有记载,但在土地确权材料认定范围外的被征收房屋,认定为违法建筑,不予补偿。
(五)承租人依托公房(含房改房)自建的房屋,2003年正射影像图上有记载的,参照有证房屋并扣除市政府最新公布的基准地价给予补偿;2003年正射影像图上无记载的,认定为违法建筑。
(六)已经下达限期拆除决定书的建筑,认定为违法建筑。
十一、补偿方式
本次房屋征收采用货币补偿和房屋产权调换两种方式,由被征收人自行选择。
(一)被征收房屋的补偿价格,由评估机构按住建部《国有土地上房屋征收评估办法》(建房〔2011〕77号)和《连云港市城乡建设局关于印发〈连云港市国有土地上房屋征收评估技术导则〉的通知》(连建征监〔2021〕349号)评估确定。
(二)选择货币补偿的,征收部门与被征收人按照被征收房屋评估结果计算补偿款签订房屋征收补偿协议,被征收人在规定期限内腾空并完好交出被征收房屋后,征收部门按协议约定将补偿款一次性支付给被征收人。
(三)选择产权调换的,计算被征收房屋的补偿金额和所调换房屋的价值,结清差价。
1.征收住宅房屋,按被征收房屋认定的合法面积征一还一,互找差价,参照户型调换。
2.选房办法:被征收人以签订房屋征收补偿协议并完成搬迁的先后顺序进行选房,先签先选、后签后选。
3.过渡方式:被征收人自行过渡。
4.安置房源:安康里小区、明珠翡翠园、瑞安花园和恒安花园部分房源。
5.安置房户型面积:安置房楼址、户型以建设工程规划许可证和政府职能部门批准的图纸为准,安置房建筑面积以房屋产权登记的面积为准(详见现场选房图)。
6.安置房上房时需缴纳的房屋维修基金、物业管理等费用,由产权人按有关规定缴纳。
7.被征收房屋补偿总价超过安置房总价,超出部分由房屋征收部门在协议约定的支付时间内一次性支付给被征收人。被征收房屋补偿总价低于安置房总价的,其差价部分由被征收人在安置房屋交付3日前一次性支付给房屋征收部门。
(四)被征收人仅有一处住房且获得的货币补偿金额低于本项目征收决定之日市区45平方米经济适用房价格的,按照市区45平方米经济适用房价格标准给予补偿。征收个人住宅,被征收人符合住房保障条件的,选择货币化补偿后,应当按照住房保障有关规定办理相关手续,优先给予住房保障,在其轮候保障住房期间,再一次性给予7200元/户的临时安置补助费。
(五)被征收人家庭仅有被征收房屋此一处住房,现状实测总建筑面积不超过60平方米(含60平方米),且经认定的合法及参照合法建筑面积不超过45平方米(含45平方米),被征收人选择产权调换的结算方式:
1.“征一还一”部分:安置房安置价格高于被征收房屋市场价格评估价的不找差价,安置房安置价格低于被征收房屋市场评估价的互找差价;
2.被征收房屋认定合法及参照合法建筑面积不足45平方米(含45平方米)面积差部分按安置房重置价格计算,超出45平方米且在60平方米(含60平方米)以内部分按安置房安置价格每平方米优惠20%计算,超出60平方米以外部分按安置房市场评估价计算。
(六)征收个人非住宅房屋,鼓励被征收人选择货币补偿或参与住宅房屋产权调换。
(七)征收各类企事业单位的土地和房屋,土地面积和性质以土地证载明的面积和性质为准,土地面积有争议的,由连云港市自然资源和规划部门予以确认。房屋面积确权按国有土地上房屋确权原则执行,房屋及土地补偿价格,由评估机构评估确定。
(八)停产停业损失补偿
对符合《连云港市国有土地上房屋征收与补偿若干问题的规定》连政发〔2011〕128号的事实经营房屋停产停业损失补助300元/㎡的标准协商确定,协商不成的,委托确定的房地产价格评估机构按照房屋征收决定作出前三年的平均净利润和停产停业期限评估确定。其他按照省市相关规定执行。
(九)经认定的违法建筑,不予产权调换。
十二、补助和奖励
(一)搬迁补助
按被征收房屋合法建筑面积10元/平方米计算;不足800元的,按800元计算。被征收人选择货币补偿的按一次计算;选择产权调换的按两次计算。
(二)临时安置补助
临时安置补助费按被征收房屋合法建筑面积12元/月/平方米计算。月临时安置补助费不足600元的,按600元计算。本次征收由被征收人自行安排过渡,房屋征收部门向被征收人支付临时安置补助费。
1.被征收人选择货币补偿的,按6个月一次性支付临时安置补助费。
2.被征收人选择瑞安花园现房安置的,按6个月支付临时安置补助费;被征收人选择明珠翡翠园、恒安花园,按12个月支付临时安置补助费;被征收人选择安康里小区安置的,按18个月计算临时安置补助费。
因房屋征收部门责任延长过渡期的,房屋征收部门自逾期之日起,按逾期月数增付1倍临时安置补助费。
被征收房屋合法建筑面积等于或小于安置房屋建筑面积,临时安置补助费按被征收房屋合法建筑面积计算;被征收房屋合法建筑面积大于安置房屋建筑面积,超出部分按选择货币补偿的标准执行。
(三)征收奖励
被征收人在签约奖励期限内签约并搬迁腾空房屋完好交给征收人的,享受以下奖励;超过征收签约奖励期限的,不享受以下奖励。
1.征收个人住宅房屋,被征收人积极配合征收工作并在评估结果公示期内签订协议且按协议约定时间完成搬迁的,给予10000元/户的提前签约奖励。
2.签约奖励
(1)征收住宅性房屋,被征收人在签约奖励期限内签订补偿安置协议,对产权调换部分的被征收房屋价值的补偿,在合法房屋评估价值的基础上增幅8%,对货币补偿部分的被征收房屋价值的补偿,在合法房屋评估价值的基础上增幅2%。
(2)选择产权调换的,分别计算被征收房屋价值与安置房屋价值,并结清产权调换差价。安置房建筑面积在被征收房屋认定合法建筑面积以内(含相等)部分,安置房价格在市场评估价的基础上每平方米优惠500元;安置房建筑面积超出被征收房屋认定合法建筑面积20%以内(含20%)部分,安置房价格在市场评估价的基础上每平方米优惠400元;超过20%以上的,按市场评估价计算。
3.搬迁奖励
(1)征收个人房屋,被征收人在签约奖励期限内签订协议并在约定时间内完成搬迁的,按合法建筑面积每平方米奖励200元,奖励金额低于12000元的按12000元计算。
(2)征收企事业单位房屋和土地,被征收人在签约奖励期限内签订协议并在协议约定时间内完成搬迁的,按房屋加土地评估价值的2.5%给予奖励,奖励金额低于12000元的按12000元计算。
4.征收个人非住宅房屋和无法进相关园区安置的企业单位房屋和土地,在规定的奖励期限内签订补偿安置协议,允许被征收人以货币补偿以内金额参与住宅性房屋产权调换,安置房价格按照市场评估价计算。
5.征收个人住宅房屋,被征收人积极配合征收工作并在征收签约奖励期限内签订协议且按协议约定时间完成搬迁的,附属设施补偿单价低于600元/平方米的,按照600元/平方米给予补齐奖励;超过征收签约奖励期限未签约的,按照房地产价格评估机构评估结果予以补偿。
6.被征收人积极配合房屋征收工作,在规定的奖励期限内签约并按协议约定搬迁的,对住宅性未认定房屋在原政策标准上给予以下补齐奖励:
(1)住宅性未认定房屋指按照《连云港市市区国有土地上房屋征收范围内未经登记建筑调查认定和处理暂行办法的通知》(连政规发〔2011〕14号)已认定为合法建筑以外部分的房屋;
(2)土地用途为住宅用地的《土地使用证》或土地权属材料认定范围内建造的未认定房屋,在连云港市自然资源和规划部门2016年航空影像图上有记载的,且房屋层数不超过两层,按照同地块类似合法房屋市场评估价的30%给予奖励,但不享受产权调换、搬迁补助、临时安置补助和签约、搬迁奖励等优惠政策;
(3)土地用途为住宅用地的《土地使用证》或土地权属材料认定范围内建造的未认定房屋,虽在连云港市自然资源和规划部门2016年航空影像图上有记载的,但房屋层数超过两层,以及在土地确权材料认定范围外住宅性未认定房屋,按照连建征监〔2021〕349号文件中住宅房屋建筑安装工程费结合结构、成新、层高给予奖励,但不享受产权调换、搬迁补助、临时安置补助和签约、搬迁奖励等优惠政策;
(4)超过签约奖励期限不签约的,以及在连云港市自然资源和规划局2016年航空影像图上无记载的,按市政府的相关政策规定执行。
(5)违法建筑一律不予补偿。被征收人积极配合征收工作,在征收签约期限内签订协议并按约定时间将房屋交给征收人的,按照违法建筑砖木、砖混、钢混建筑结构类型,分别给予每平方米不超过300元、400元、500元材料补助。
十三、其他事项
1.被征收人应积极配合征收工作人员对其房屋及附属设施进行丈量,并及时提供房屋产权证明等相关手续。因被征收人不配合而导致评估价格不实等不利后果,由被征收人自负。
2.本次房屋征收接受被征收人和广大人民群众的监督。如发现征收工作人员在征收工作中有违规违纪行为,欢迎被征收人和广大人民群众举报。经调查属实的,将依纪依法追究相关责任人责任,并对举报人员给予500元奖励,同一举报事件以先举报者为准。
3.在房屋征收期间,对采取暴力、威胁等方法妨碍房屋征收与补偿工作,构成违反治安管理行为的,依法给予治安管理处罚;构成犯罪的,依法追究刑事责任。
4.被征收人不得擅自拆除、损坏被征收房屋、附属设施,否则征收人有权在补偿费用中扣除相应的损失。
5.被征收房屋存在权属纠纷的,由被征收人在房屋征收签约及搬家腾房的期限内自行解决,逾期不能解决的,按有关规定处理。
6.征收人与被征收人在征收补偿方案确定的签约期限内达不成补偿协议的,或者被征收人不明确的,由海州区住房和城乡建设局报请海州区人民政府,按照房屋征收补偿方案作出征收补偿决定,并在房屋征收范围内予以公告。
7.被征收人对征收补偿决定不服的,可以依法申请行政复议,也可以依法提起行政诉讼。
8.被征收人在法定期限内不申请行政复议或者不提起行政诉讼,在征收补偿决定规定的期限内又不搬迁的,由海州区人民政府依法申请人民法院强制执行。
9.房屋征收补偿协议订立后,一方当事人不履行协议约定义务的,另一方当事人可以依法提起诉讼。
10.用于产权调换的房屋建成后,由海州区住房和城乡建设局进行公告或按被征收人所留联系方式通知被征收人办理安置手续。被征收人所留联系方式发生改变,应及时书面通知海州区住房和城乡建设局;否则,产生的不利后果由被征收人自负。
十四、本方案未尽事宜,按国务院《国有土地上房屋征收与补偿条例》及相关政策和有关规定执行。
十五、本方案最终解释权归征收人。



